西尾張部 土地

2,450万円

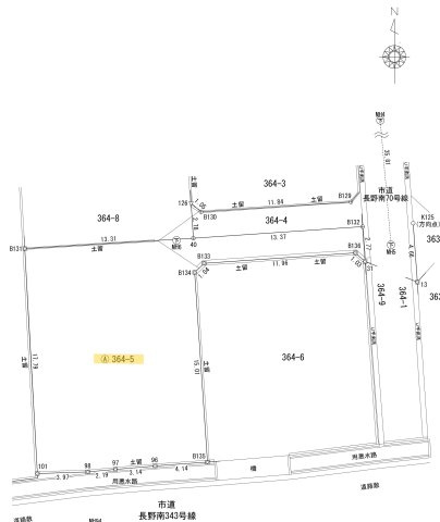
長野県長野市大字西尾張部364-5

北しなの線「北長野」駅徒歩32分

価格
2,450万円
土地面積(坪数)
265.00㎡(80.16坪)
所在地
長野県長野市大字西尾張部364-5
築年
0年(-)
駐車
-
交通

北しなの線北長野」駅 徒歩32分

西尾張部 土地の基本情報

物件名
西尾張部 土地
価格
2,450万円
土地面積
265.00㎡
築年月
0年(-)
総区画数
-
所在地
長野県長野市大字西尾張部364-5
交通

北しなの線北長野」駅 徒歩32分

西尾張部 土地の詳細情報

設備条件
設備(その他)
    -
駐車場/月額
-/0円
土地権利
所有権
国土法届出
不要
用途地域
第一種中高層住居専用
区画数
- / -
管理形態
-
管理員の勤務形態
-
管理会社
-
取引態様
一般媒介
引渡し
相談
開発許可番号
-

西尾張部 土地で募集中の物件

  1. 80.16坪 (265.00㎡)

    2,450万円(30.56万円/坪)

周辺施設

  • セブンイレブン西尾張部店の画像

    コンビニエンスストア

    セブンイレブン西尾張部店

    211m(3分)

  • ローソン西尾張部店の画像

    コンビニエンスストア

    ローソン西尾張部店

    289m(4分)

  • ラウンドワンスタジアム長野店の画像

    ゲームセンター

    ラウンドワンスタジアム長野店

    301m(4分)

  • クスリのアオキ 若宮店の画像

    ドラッグストア

    クスリのアオキ 若宮店

    341m(5分)

  • 西友 西尾張部店の画像

    スーパー

    西友 西尾張部店

    395m(5分)

  • 三陽中学校の画像

    中学校

    三陽中学校

    780m(10分)

  • 緑ケ丘小学校の画像

    小学校

    緑ケ丘小学校

    1400m(18分)

近隣の物件

  1. 長野市大字南堀

    - (246.19㎡)

    1,850万円

  2. 長野市大字小鍋

    - (307.87㎡)

    450万円

  3. 長野市若里1丁目

    - (77.43㎡)

    1,220万円

  4. 長野市下氷鉋1丁目

    - (194.47㎡)

    1,6469,000

よく見られている物件

  1. 長野市若里1丁目

    - (77.43㎡)

    1,220万円

  2. 長野市中御所4丁目

    - (993.01㎡)

    12,0152,000

  3. 長野市吉田2丁目

    - (201.24㎡)

    1,6739,000

  4. 長野市浅川西条

    - (219.45㎡)

    1,180万円

西尾張部 土地

お気軽にお問い合わせください

無料お問い合わせ

東邦商事株式会社

026-226-6634

09:30~18:00

(休:長野店:祝日 松本店・上田店:水曜・祝日 )